9
$116,900 (+5%) Sale
Listed 985 days ago
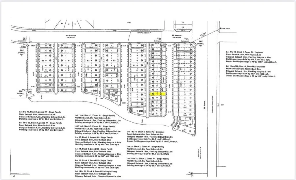
4720 68 Street
· 0
· 0
· -
· -
Key Facts
Key facts for 4720 68 Street
Property Type
Other
Parking
-
MLS #
A2016866
Size
-
Basement
-
Listed on
-
Lot size
-
Days on Market
-
Year Built
-
Maintenance Fee
-
Description
Welcome to West Park's newest development....Lakeside!!! This development is situated close to shopping and dining. You can access the walking path along the lake and build your own home! Don't miss out on an amazing opportunity in 2025.
Similar Properties (No results)
Courtesy of: RE/MAX Real Estate (Edmonton) Ltd.
Copyright Pillar 9™. All rights reserved. Information is deemed reliable but not guaranteed.